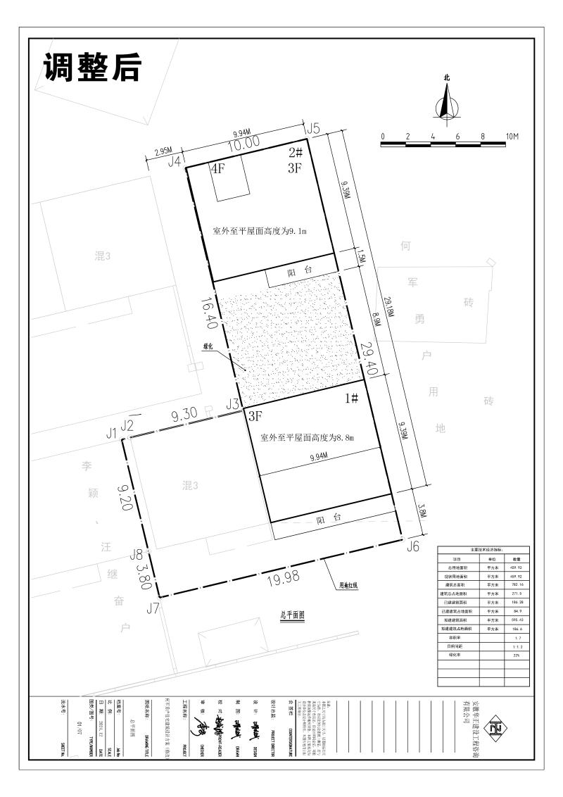
关于何军勇户个人建房报建图纸调整的批前公示
何军勇户向我局申报个人建房报建图纸调整,具体调整内容如下:1、1#楼二层、三层阳台尺寸调整;2、室外地坪至平屋面高度由8.95米调整到8.8米,建筑间距由10.7米调整到10.4米;3、取消原设计1#楼顶楼梯间;4、总建筑面积由595.88平方米调整到595.43平方米(详见附图)。根据相关规定,现履行批前公示程序。
一、公示时间
7个工作日(2025年10月16日-2025年10月24日)
二、公示方式
1.公示地点:蓝田路西侧;休宁县自然资源和规划局4楼公告栏。
2.公示网站:休宁县人民政府/政府信息公开/部门乡镇平台链接/区县部门/休宁县自然资源和规划局(https://www.xiuning.gov.cn/zwgk/public/6616428/11909183.html)。
三、反馈方式
公示期间若有意见或建议请以书面、电话等方式反馈至休宁县自然资源和规划局行政审批服务股,书面意见请注明联系人姓名、电话、地址,反馈意见的单位应加盖单位公章。
在此公示期内,与该行政许可事项有直接重大利益关系的申请人、利益关系人依法享有陈述、申辩等权利。符合以上要求的当事人可在本公示期内以书面法定形式向我局陈述、申辩等;逾期未提出陈述、申辩等要求的,视为放弃上述权利。
书面反馈地址:安徽省黄山市休宁县政务服务中心2楼210室(休宁县自然资源和规划局行政审批服务股)
邮编:245400
联系人:王佳思
联系电话:0559-7512923
休宁县自然资源和规划局
2025年10月16日




皖公网安备 34102202000191号
不良信息举报